00000 Honey Creek Lot#3 Road, Tonganoxie, KS 66086

Mortgage Calculator

$172,400
 est. $663/mo

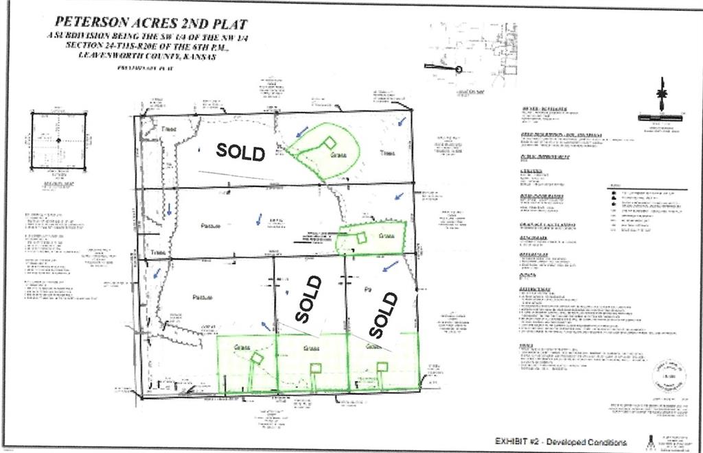
This is 1 of 5 parcels being offered for anyone seeking to build and live outside of Tonganoxie (approx. 5 miles) on Honey Creek Rd. and 246th Str...Enjoy the convenience of nearby city amenities while living a country life style. Great views and solitude are what come when buying this property. A part of these properties are in a flood zone, this property while in the flood zone still has room to build a home on. Any flood waters that come in drain back out within a matter of hours. (This property floods maybe once every 20-30 years according to information gathered and is more of a back up of water). For more information call the listing agent Mike Shumway 785-423-2843. Do not drive on property when ground is wet.

Directions
From Hwy 24/40 and Hwy 16 go west on 16 to Sandusky, head west then south turning into 246th Str. to Honey Creek Rd. Property sits on the N/E corner of 246th Str. and Honey Creek Rd.
Subdivision
Other
City
Tonganoxie
County
Leavenworth
Property Type
Farm / Unimproved Land
Listing Updated
Oct 01, 2025 at 10:10am
MLS Number
2525983
Property Tax
$182
Zoning
$ag
Home Owners Association
No
Disclaimer
The information displayed on this page is confidential, proprietary, and copyrighted information of Heartland Multiple Listing Service, Inc. (“Heartland MLS”). Copyright 2025, Heartland Multiple Listing Service, Inc. Heartland MLS, Elite Realty and Agent Jo do not make any warranty or representation concerning the timeliness or accuracy of the information displayed herein. In consideration for the receipt of the information on this page, the recipient agrees to use the information solely for the private non-commercial purpose of identifying a property in which the recipient has a good faith interest in acquiring.
The data relating to real estate displayed on this website comes in part from the Heartland Multiple Listing Service database compilation. The properties displayed on this website may not be all of the properties in the Heartland MLS database compilation, or all of the properties listed with other brokers participating in the Heartland MLS IDX program. Detailed information about the properties displayed on this website includes the name of the listing company.
Information is deemed reliable but is not guaranteed.

Copyright © 2025 ELITE Realty.